Σε βάθος 203 μέτρων και έπειτα από πολυετή έρευνα εντοπίστηκε βρετανικό υποβρύχιο που αγνοούνταν από το 1942 και είχε βυθιστεί αύτανδρο, με 64 άτομα πλήρωμα.
Πρόκειται για το Η.Μ.S TRIUMPH, του οποίου τα ίχνη εξαφανίστηκαν πριν από 81 χρόνια στο Αιγαίο. Από τότε το υποβρύχιο είχε γίνει αντικείμενο έρευνας διαφόρων ομάδων από την Αγγλία, τη Μάλτα και τη Ρωσία που κατά καιρούς επισκέπτονταν την Ελλάδα με στόχο την εύρεση του χαμένου υποβρυχίου, χωρίς όμως αποτέλεσμα.
Το μυστήριο λύθηκε από τιν ερευνητή Κώστα Θωκταρίδη και την ομάδα του. «Η έρευνα για το Η.M.S. TRIUMPH ξεκίνησε το 1998. Είναι η δυσκολότερη και η πλέον πολυδάπανη αποστολή που έχω πραγματοποιήσει στη ζωή μου» λέει στο ΑΠΕ – ΜΠΕ.

«Η ιστορία του υποβρυχίου είναι πολυδιάστατη και μοναδική στα ναυτικά χρονικά καθώς είναι άρρηκτα συνδεδεμένη με την εθνική αντίσταση και τις μυστικές υπηρεσίες της εποχής που έδρασαν στην κατοχή» προσθέτει.
Ποιο ήταν όμως το κλειδί που ξεκλείδωσε ένα μυστήριο οκτώ και πλέον δεκαετιών; «H έρευνα σε πρωτογενείς ιστορικές πηγές. Χρειάστηκε να γίνει εκτεταμένη μελέτη των αρχείων τόσο στην Αγγλία και την Γερμανία όσο και στην Ιταλία αλλά και την Ελλάδα» απαντά ο Κ.Θωκταρίδης.
To Triumph στα νερά του Αιγαίου
Το TRIUMPH ξεκίνησε την έντονη επιχειρησιακή του δράση τον Μάιο του 1939. Συνολικά πραγματοποίησε 20 πολεμικές περιπολίες. Εμφανίστηκε για πρώτη φορά στο Αιγαίο στα τέλη Μαρτίου του 1941 με στόχο την αναγνώριση ακτών στα Δωδεκάνησα και την αποβίβαση αξιωματικών με κανό στις ακτές. Ακολούθησαν σημαντικές επιτυχίες καθώς βύθισε αρκετά εχθρικά πλοία και το ιταλικό υποβρύχιο SALPA.

Αναλάμβανε δύσκολες και επικίνδυνες αποστολές με αποβιβάσεις πρακτόρων των βρετανικών οργανώσεων SOE και ΜΙ9 και διασώσεις εγκλωβισμένων στρατιωτικών που έπρεπε να διαφύγουν στην Αλεξάνδρεια της Αιγύπτου.

Ο Έλληνας της ειδικής ομάδας μυστικών αποστολών
Στις 26 Δεκεμβρίου 1941 το υποβρύχιο θα αποπλεύσει από την Αλεξάνδρεια για την τελευταία του αποστολή αφού μετά θα επέστρεφε στην Αγγλία για γενική επισκευή και συντήρηση μακράς διαρκείας. Ήταν η 21η περιπολία του. Αντικειμενικός σκοπός της αποστολής ήταν να πραγματοποιήσει δύο ειδικές επιχειρήσεις και στο ενδιάμεσο να προβεί σε επιθετική περιπολία σε συγκεκριμένο τομέα του Αιγαίου που του είχε ανατεθεί από το βρετανικό ναυαρχείο και την διοίκηση υποβρυχίων.
Εκτός του πληρώματος το υποβρύχιο μετέφερε μια ειδική ομάδα μυστικών αποστολών.

Η επιχείρηση «ISINGLASS» μόλις είχε ξεκινήσει με τον υπολοχαγό Atkinson, της SOE, και τον ασυρματιστή Αρβανιτόπουλο Αδαμάντιο ραδιοτηλεγραφητή της ελληνικής υπηρεσίας πληροφοριών που ήταν με απόσπαση στη βρετανική υπηρεσία SOE με την κωδική ονομασία Diamond. Ο Atkinson μετέφερε μεγάλη οικονομική βοήθεια σε μετρητά και χρυσές λίρες της ΜΙ9 και της SOE για την ενίσχυση συγκριμένων προσωπικοτήτων που βρίσκονταν στην κατεχόμενη Αθήνα καθώς και δυο σετ ασυρμάτου για επικοινωνία με το Κάιρο.
Τη δεύτερη μυστική αποστολή με την ονομασία «CONEY ISLAND» ανέλαβε να φέρει εις πέρας ο Νεοζηλανδός υπολοχαγός της ΜΙ9 Graig. Η αποστολή του ήταν να συντονίσει τη διαφυγή 30 Βρετανών φυγάδων που βρίσκονταν στην Αντίπαρο.

Οι 37 Αθηναίοι και η κατάληξη της επιχείρησης
Το βράδυ της 29ης προς 30η Δεκεμβρίου 1941 το Triumph κατέπλευσε στον όρμο του Δεσποτικού, αποβίβασε την ειδική ομάδα και ξεφόρτωσε καύσιμα για τα καΐκια και εφόδια με εξοπλισμό. Ανάμεσα στα άλλα κι έναν οπτικό τηλέγραφο της ΜΙ9 για την επικοινωνία με τα υποβρύχια. Ο κυβερνήτης του Triumph υποπλοίαρχος John S. Huddart ενημέρωσε τους 30 φυγάδες που είχαν συγκεντρωθεί στο Δεσποτικό ότι έπρεπε να μεταβεί για επιθετική περιπολία στο Αιγαίο και θα επέστρεφε να τους παραλάβει στις 9 ή 10 Ιανουαρίου 1942 και να τους μεταφέρει στην Αλεξάνδρεια. Στις 30 Δεκεμβρίου 1941 και ώρα 21:21 το υποβρύχιο αναφέρει με κρυπτογραφημένο σήμα την επιτυχή ολοκλήρωση της πρώτης φάσης της αποστολής. Αυτό είναι το τελευταίο σήμα που θα στείλει το TRIUMPΗ…

Η Διεύθυνση Ειδικών Επιχειρήσεων της SOE είχε εφοδιάσει τον Atkinson με ένα πολυσέλιδο δελτίο πληροφοριών, με ρητή γραπτή εντολή «Να μη μεταφερθεί στην ξηρά». Στο δελτίο μνημονεύονταν 37 προσωπικότητες της Αθήνας με τα ψευδώνυμα τους και με κωδικούς αριθμούς καθώς επίσης και τα πραγματικά τους ονόματα, τους οποίους καλούσε σε συνεργασία η εξόριστη ελληνική κυβέρνηση.
Δυστυχώς, αυτή η επιχείρηση είχε τραγική κατάληξη. Όλα τα μέλη της ομάδας ειδικών επιχειρήσεων συνελήφθησαν στην Αντίπαρο όπως και οι 30 Βρετανοί που επρόκειτο να διαφύγουν με το υποβρύχιο στην Αίγυπτο. Πάνω στον Atkinson βρέθηκε το δελτίο με όλες τις απόρρητες πληροφορίες με αποτέλεσμα να γίνουν κι άλλες συλλήψεις που οδήγησαν σε στρατοδικεία και εκτελέσεις κυρίως Ελλήνων πατριωτών. Από τους συμμάχους εκτελέστηκε μόνο ο Atkinson και οι υπόλοιποι μεταφέρθηκαν σε στρατόπεδα συγκέντρωσης.

Η τελευταία επίθεση νότια του Σουνίου
Το Triumph συνέχισε την περιπολία του κάνοντας αισθητή την παρουσία του στη Μήλο και στη Νάξο. Στο υποβρύχιο επέβαιναν 64 άτομα: 7 αξιωματικοί, 55 μέλη πληρώματος και 2 κομάντος, οι οποίοι χειρίζονταν τα σκάφη που μετέφεραν εφόδια και ανθρώπους από και προς το TRIUMPH. Στις 9 Γενάρη 1942 και ώρα 11:45 η τσιμεντένια φορτηγίδα ΡΕΑ ρυμουλκούμενη από το ΤΑΞΙΑΡΧΗΣ θα δεχτεί τορπιλική επίθεση από το TRIUMPH νότια του Σουνίου. Η αναφορά κάνει λόγο για έκρηξη της τορπίλης στα βράχια.
«Πρόσφατα στην ίδια υποθαλάσσια περιοχή ταυτοποιήσαμε ακόμη 3 βρετανικές τορπίλες Mk VIII ιδίου τύπου με αυτές που μετέφερε το Triumph και μάλιστα εντός ακτίνας βολής της επίθεσης. Το γεγονός αυτό μας κάνει να πιστεύουμε ότι το Triumph εξαπέλυσε περισσότερες από μια τορπίλες κατά τη διάρκεια της τελευταίας του επίθεσης» λέει ο Κώστας Θωκταρίδης.

«Τελευταία φορά που είδε ανθρώπινο μάτι το υποβρύχιο TRIUMPH να κινείται, ήταν από έναν Ιταλό πιλότο που πετούσε στην περιοχή. Η άγνωστη αυτή πληροφορία που είχε χαθεί στη λήθη του χρόνου έρχεται να συμπληρώσει μια ακόμα λεπτομέρεια στο πάζλ της ιστορίας του θρυλικού υποβρυχίου. Εντοπίστηκε στις πρωτογενείς πηγές κατά την ιστορική έρευνα και αναφέρει ότι λίγο πριν τις 12:00 το μεσημέρι στις 9 Γενάρη 1942 το ιταλικό αεροσκάφος παρατήρησε υποβρύχιο 4 ναυτικά μίλια νοτιοανατολικά του Σουνίου» αναφέρει.
Από εκεί και μετά τα ίχνη του Τriumph εξαφανίζονται και στις 23 Γενάρη 1942 το Βρετανικό Ναυαρχείο αναφέρει σε ναυτικό σήμα ότι το υποβρύχιο Triumph πρέπει να θεωρείται απολεσθέν μετά από περιπολία στο Αιγαίο.

Οι φήμες για τη μοίρα του υποβρυχίου
Όλα αυτά τα χρόνια υπήρξαν πολλές θεωρίες συνομωσίας σχετικά με τις συνθήκες εξαφάνισης του υποβρυχίου. Οι πιθανές αιτίες ήταν πολλές: από επιπλέουσα νάρκη στην Μήλο, από πρόσκρουση σε ξέρα, από σύλληψη των Γερμανικών δυνάμεων σε συνεργασία με Ιταλούς πράκτορες, από ατύχημα, από βαθιά κατάδυση, από πρόσκρουση σε νάρκη στα γνωστά ναρκοπέδια, ότι είναι στην Αντίπαρο, μέχρι και ότι είναι ιστορία μύθος για να καλύψει ανεπάρκειες μυστικών υπηρεσιών … όλα ήταν μέσα στις πιθανότητες, αυξάνοντας έτσι πολύ το μέγεθος του πεδίου διερεύνησης για τον εντοπισμό του.
Υγρός τάφος σε βάθος 203 μέτρων
Ογδόντα ένα χρόνια μετά η ομάδα του Κώστα Θωκταρίδη ανακαλύπτει το χαμένο υποβρύχιο στο Αιγαίο σε βάθος 203 μέτρων. «Το βυθισμένου H.M.S TRIUMPH που έγινε υγρός τάφος για 64 ήρωες προκαλεί δέος» είναι η εικόνα που μεταφέρει ο ίδιος.

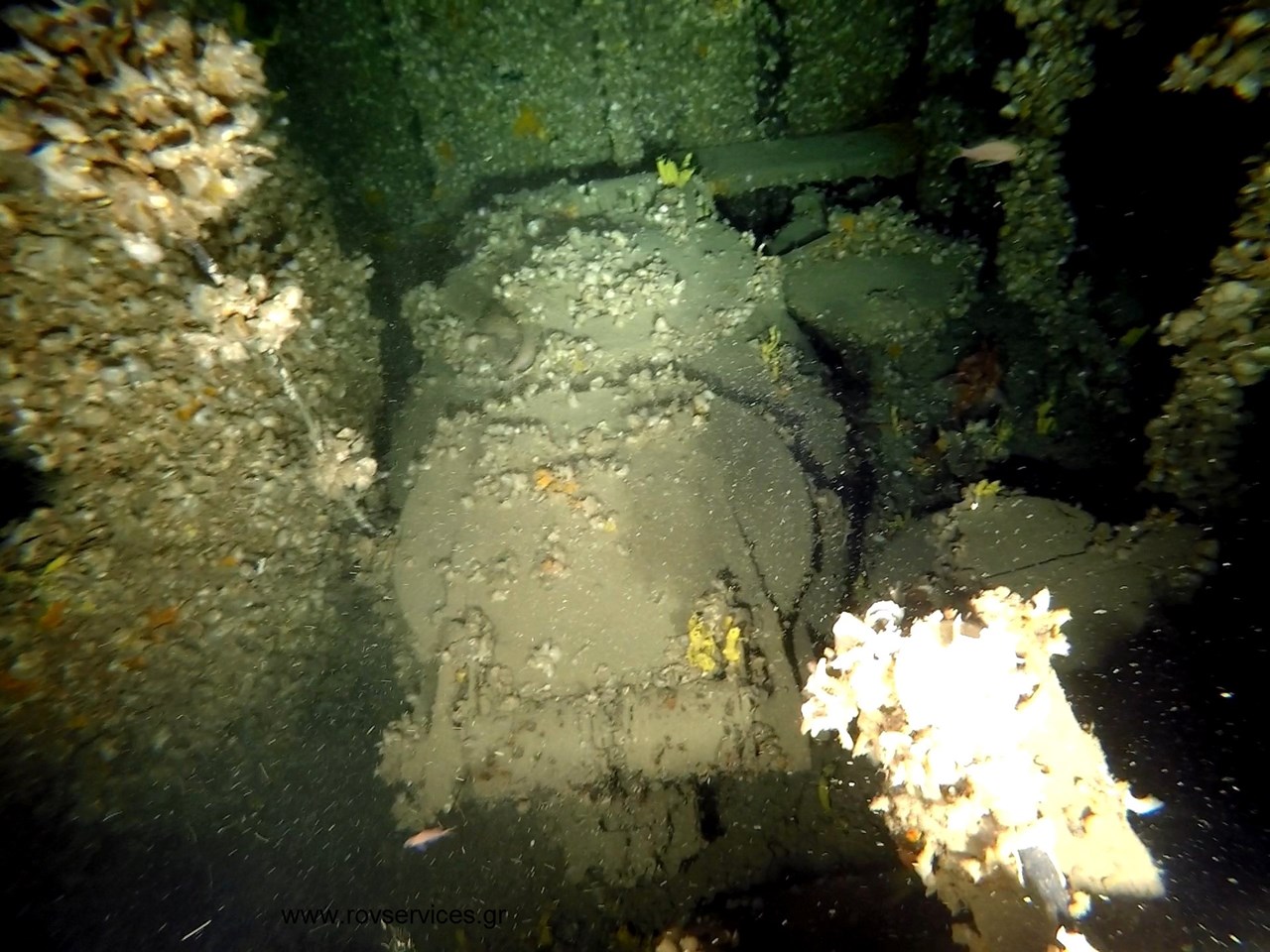
Το υποβρύχιο αναπαύεται στον βυθό της ανοιχτής θάλασσας με 8 μοίρες δεξιά κλίση, δεκάδες χιλιόμετρα μακριά από τις ακτές. Τα κατεβασμένα περισκόπια και οι κλειστές ανθρωποθυρίδες του μαρτυρούν ότι το TRIUMPH τις τελευταίες δραματικές στιγμές βρισκόταν σε βαθιά κατάδυση. Τα πηδάλια βάθους και κατεύθυνσης είναι σε ευθεία άρα ήταν σε σταθερό βάθος.

Στον πυργίσκο του, διακρίνεται το ξύλινο τιμόνι, η πυξίδα και το κανόνι τεσσάρων ιντσών που είναι ελαφρώς σηκωμένο προς τα επάνω. Οι αντικριστές ανθρωποθυρίδες στον χώρο του κανονιού που οδηγούν στο εσωτερικό του κύτους είναι επίσης κλειστές. Στην πρωραία πλευρά της γέφυρας η πόρτα που οδηγεί στο πυροβόλο έχει ανοίξει … Όλες οι ανθρωποθυρίδες είναι κλειστές. Σε όλο το κύτος του υποβρυχίου τα ελάσματα και οι συνδέσεις είναι με καρφωτές λαμαρίνες.

Το πώμα του δεξιού τορπιλοβλητικού σωλήνα, που βρίσκεται στο ύψος του πυργίσκου, έχει ανοίξει και η τορπίλη τύπου MK VIII έχει βγει κατά το μισό εκτός του υποβρυχίου.
Η τελική αιτία βύθισης φαίνεται ότι ήταν μια μεγάλης ισχύος έκρηξη στο πρωραίο τμήμα του υποβρυχίου, που στην συνέχεια οδήγησε Η.Μ.S. TRIUMPH σε βάθος 203 μέτρων (666 πόδια). Τι προκάλεσε όμως αυτή την έκρηξη που βύθισε ένα από τα μεγαλύτερα υποβρύχια εκείνης της εποχής;
«Η έρευνά μας συνεχίζεται, κυρίως σε ιστορικό επίπεδο καθώς έρχονται στο φως καινούρια στοιχεία και γεγονότα, τα οποία σε συνδυασμό με τις πληροφορίες που έχουμε πλέον από το ναυάγιο και με τη συνδρομή ειδικών από το πολεμικό ναυτικό με εξειδίκευση στα υποβρύχια και τις τορπίλες θα αποκαλύψουν τα μυστικά του Η.M.S TRIUMPH» απαντά ο Κ. Θωκταρίδης.

Η ταυτότητα του υποβρυχίου Triumph
Μήκος 84,28 μέτρα.
Μέγιστο πλάτος 7,77 μέτρα.
Το βάθος τρόπιδας σε περισκοπικό βάθος ήταν 34 πόδια (10,36 μέτρα)
Το TRIUMPH ήταν το μοναδικό αυτής της κλάσης (T Class) χωρίς εξωτερικούς πρωραίους τορπιλοβλητικούς σωλήνες, καθώς του είχαν αφαιρεθεί κατά τη διάρκεια επισκευών το 1940 μετά από πρόσκρουση σε νάρκη.
.jpg)

