
Σε κατάσταση συναγερμού τέθηκε αιφνιδίως η ελληνική διπλωματία μετά από την επίσημη ανακοίνωση δια της εφημερίδας της κυβερνήσεως της Τουρκίας, ότι παραχωρήθηκαν για έρευνες και γεωτρήσεις περιοχές του Αιγαίου που βρίσκονται εντός της ελληνικής ΑΟΖ.
Η Άγκυρα επιχειρώντας να δημιουργήσει ρήγμα στα δεδομένα , όπως η ίδια ισχυρίζεται, της «συμμαχίας» Κύπρου – Ισραήλ στην Ανατολική Μεσόγειο «δίνει τα διπλωματικά της ρέστα» όπως επισημαίνει σε κύριο άρθρο της η εφημερίδα «SABAH».
Στην πραγματικότητα η τουρκική διπλωματία πέρασε στο τρίτο στάδιο αμφισβήτησης του STATUS QUO στο Αιγαίο με την έκδοση χαρτών στην εφημερίδα της κυβέρνησης όπου αποτυπώνονται οι άδειες για γεωτρήσεις σε σημεία που γειτνιάζουν του Καστελόριζου και αποτελούν τμήμα της ελληνικής ΑΟΖ η οποία ωστόσο δεν έχει επίσημα και τελεσιδίκως προσδιοριστεί.
Αν κανείς παρατηρήσει τα σημεία αυτά επί των χαρτών που δημοσιεύονται παρακάτω αντιλαμβάνεται πώς η Άγκυρα επιχειρεί να αποκόψει την ελληνική ΑΟΖ από εκείνες της Κύπρου και της Αιγύπτου.
Οι τρεις φάσεις της τουρκικής επεκτατικότητας
Αν η πρώτη φάση της αμφισβήτησης των ισχυόντων στο Αιγαίο άρχισε το 1973 με την δημοσίευση ενός χάρτη με σημεία ερευνών εντός της ελληνικής υφαλοκρηπίδας (αργότερα ακολούθησε η επιχείρηση με το ερευνητικό σκάφος «Χόρα») , η δεύτερη φάση άρχισε αμέσως μετά την κρίση του 1996 στα Ίμια με το δόγμα των «Γκρίζων Ζωνών». Η τρίτη φάση αυτής της επιχείρησης άρχισε κατά τους διπλωματικούς παρατηρητές τον την 27η Απριλίου 2012, εν μέσω προεκλογικής περιόδου στην Ελλάδα, παραμονές της Συνόδου Κορυφής του ΝΑΤΟ, μία εβδομάδα πριν από τον β γύρο των γαλλικών εκλογών και ενώ η Ευρώπη σπαράσσεται εκ νέου λόγω της κρίσης χρέους των χωρών του ευρωπαϊκού νότου και ενώ ανατρέπονται οι συσχετισμοί δυνάμεων στην Ευρωζώνη λόγω του λεγόμενου « Ολαντ-ικού πυρετού».
Μία ματιά στα έξι διατάγματα που δημοσιεύτηκαν την Παρασκευή 27 Απριλίου στην εφημερίδα της κυβερνήσεως της Τουρκίας θα ήταν αρκετή για να πείσει πώς η Άγκυρα προσανατολίζεται σε δημιουργία τετελεσμένων στον θαλάσσιο χώρο μεταξύ Ρόδου – Καρπάθου και Καστελορίζου. Οι έρευνες για υδρογονάνθρακες σε αυτό το τρίγωνο αποτελούν το άλλοθι και όχι την ουσία δεδομένου ότιο κανείς δεν γνωρίζει αν εκεί υφίστανται αποθέματα. Πρόκειται για καθαρά διπλωματική – τακτική κίνηση ώστε να αμφισβητηθούν τα δικαιώματα της Αθήνας σε αυτήν την περιοχή οικονομικής ζώνης εκμετάλλευσης.
Στην πραγματικότητα η Άγκυρα απαντά στην πρόθεση «ευθυγράμμισης» των συμφερόντων της Κύπρου και του Ισραήλ που γεωγραφικά αρχίζουν από τα σημεία «Αφροδίτη» και «Λεβιάθαν» ανατολικά της Κύπρου και εκτείνονται θεωρητικά έως νοτίως της Κρήτης. Είναι οι ισραηλινές εταιρείες οι οποίες εξέφρασαν προ εβδομάδων έντονο ενδιαφέρον να αποκτήσουν την άδεια έρευνας και γεώτρησης στο θαλάσσιο οικόπεδο νοτίως της Κρήτης που έχει θέσει σε δημόσιο διαγωνισμό η ελληνική κυβέρνηση.
Επισημαίνεται πώς η τουρκική διπλωματία έχει θέσει την περιοχή της Γαύδου εντός πλαισίου «γκρίζας ζώνης» . Τυπικά η τουρκική διπλωματία δεν επιμένει σε αυτό το ζήτημα διεθνώς και ειδικώς στα πλαίσια του ΝΑΤΟ , πλην όμως σε ανύποπτο το θέμα αυτό έχει τεθεί στο Νατοϊκό Στρατηγείο της Νεάπολης …έτσι για να «υπάρχει» καταγεγραμμένο στα πρακτικά.
Τα διατάγματα
Οι άδειες που παραχώρησε η κυβέρνηση της Τουρκίας ανήκουν πλέον στην ανώνυμη κρατική εταιρεία εκμετάλλευσης υδρογονανθράκων. Πρόκειται για έξι (6) χωριστά διατάγματα που φέρουν ως χαρακτηριστικό περιοχές της Ανατολικής Μεσογείου και του Αιγαίου. Τα διατάγματα αυτά είναι :
2012/2802 Adana Petrol Bölgesinde, Akdeniz’de Türk Karasuları Dışında Yer Alan AR/TPO/5011 Hak Sıra Numaralı Ruhsatnameye Ait Sahada, Türkiye Petrolleri Anonim Ortaklığı Tarafından Petrol Ameliyatı Yapılmasına İzin Verilmesi Hakkında Karar
2012/2968 Antalya Petrol Bölgesinde, Akdeniz’de Türk Karasuları Dışında Yer Alan AR/TPO/5026, 5027, 5028 Hak Sıra Numaralı Ruhsatnamelere Ait Sahalarda, Türkiye Petrolleri Anonim Ortaklığı Tarafından Petrol Ameliyatı Yapılmasına İzin Verilmesi Hakkında Karar
2012/2973 Adana Petrol Bölgesinde, Akdeniz’de Türk Karasuları Dışında Yer Alan AR/TPO/5029 Hak Sıra Numaralı Ruhsatnameye Ait Sahada, Türkiye Petrolleri Anonim Ortaklığı Tarafından Petrol Ameliyatı Yapılmasına İzin Verilmesi Hakkında Karar
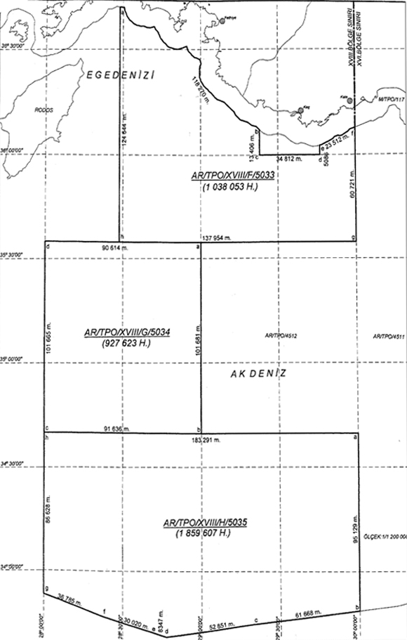
2012/2974 Muğla Petrol Bölgesinde, Akdeniz’de Türk Karasuları Dışında Yer Alan AR/TPO/5033, 5034, 5035 Hak Sıra Numaralı Ruhsatnamelere Ait Sahalarda, Türkiye Petrolleri Anonim Ortaklığı Tarafından Petrol Ameliyatı Yapılmasına İzin Verilmesi Hakkında Karar
2012/2975 Hatay Petrol Bölgesinde, Akdeniz’de Türk Karasuları Dışında Yer Alan AR/TPO/5039 Hak Sıra Numaralı Ruhsatnameye Ait Sahada, Türkiye Petrolleri Anonim Ortaklığı Tarafından Petrol Ameliyatı Yapılmasına İzin Verilmesi Hakkında Karar
2011/1753 Adana Petrol Bölgesinde, Akdeniz’de Türk Karasuları Dışında Yer Alan AR/TPO/4856 Hak Sıra Numaralı Ruhsatnameye Ait Sahada, Türkiye Petrolleri Anonim Ortaklığı Tarafından Petrol Ameliyatı Yapılmasına İzin Verilmesi Hakkında Karar
Κάθε διάταγμα συνοδεύεται από χάρτες με τις συντεταγμένες για τα σημεία έρευνας ,γεώτρησης, εκμετάλλευσης υδρογονανθράκων.
Επί παραδείγματι στο τέταρτο κατά σειρά διάταγμα που αφορά την περιοχή MUGLA συμπεριλαμβάνεται ο χάρτης της περιοχής νοτίως της Ρόδου :
Το διάταγμα φέρει τις υπογραφές των κυβερνητικών παραγόντων και στο τέλος με ειδική αναφορά τον χάρτη.



Οι ελληνικές αντιδράσεις
Η απάντηση της Αθήνας ήταν άμεση. Με ανακοίνωσή του, ο εκπρόσωπος του Υπουργείου Εξωτερικών κ. Γρ. Δελαβέκουρας τονίζει ότι «η δημοσίευση, στην Εφημερίδα της Κυβερνήσεως της Τουρκίας, σειράς αποφάσεων του τουρκικού Υπουργικού Συμβουλίου, που είχαν ληφθεί στις 16 Μαρτίου 2012, περί χορήγησης αδειών εκτέλεσης πετρελαϊκών εργασιών, μεταξύ των οποίων και σε περιοχές Νότια της Ρόδου και του Καστελόριζου, αντιβαίνει στους κανόνες του Δικαίου της Θάλασσας και με κανένα τρόπο δεν μπορεί να θίξει κυριαρχικά δικαιώματα και αρμοδιότητες της Ελλάδας, που θεμελιώνονται στο Διεθνές Δίκαιο».
«Οι θέσεις μας σχετικά με το συγκεκριμένο θέμα είναι δεδομένες και έχουν γνωστοποιηθεί επανειλημμένως προς την τουρκική πλευρά. Σύμφωνα με τις σχετικές πρόνοιες της Διεθνούς Σύμβασης για το Δίκαιο της Θάλασσας και του εθιμικού δικαίου, περιοχές που αναφέρονται στις εν λόγω αποφάσεις περιλαμβάνουν και ελληνική υφαλοκρηπίδα. Το Υπουργείο Εξωτερικών προβαίνει σε όλες τις απαραίτητες ενέργειες για την κατοχύρωση και την προάσπιση των κυριαρχικών δικαιωμάτων της Ελλάδας» καταλήγει η ανακοίνωση του ελληνικού υπουργείου Εξωτερικών που θα προχωρήσει και σε διάβημα προς το αντίστοιχο τουρκικό.

Λίγα εικοσιτετράωρα νωρίτερα ο αρχηγός ΓΕΕΘΑ στρατηγός Μιχ. Κωσταράκος επιβαίνων στην κανονιοφόρο του ΠΝ «Πολεμιστής» διήλθε από τη βραχονησίδα Ζουράφα, ενώ ο κυβερνήτης του σκάφους τον ενημέρωσε για τον φάρο που έχει κατασκευάσει εδώ και πολλά χρόνια εκεί το Ναυτικό και ο οποίος πριν από μερικές εβδομάδες υπέστη ζημιές από τη σφοδρή κακοκαιρία. Η βραχονησίδα αυτή, η οποία βρίσκεται πάνω από πετρελαιοφόρο κοίτασμα, θεωρείται κομβικό σημείο για τον καθορισμό της υφαλοκρηπίδας στο Αιγαίο, και η επίσκεψη του Έλληνα αρχιστράτηγου ερμηνεύεται ως μήνυμα προς την Άγκυρα.
Νωρίτερα ο υπουργός Εθνικής Άμυνας Δημήτρης Αβραμόπουλος είχε επισκεφθεί το Φαρμακονήσι και το Αγαθονήσι την ώρα που πληροφορίες αναφέρουν ότι στο υπουργείο προετοιμάζονται για ένα «θερμό καλοκαίρι».
Αξίζει να σημειωθεί ότι στο προχθεσινό ΚΥΣΕΑ συζητήθηκε η ανανέωση του εγχειρίδιου χειρισμού κρίσεων και των κανόνων εμπλοκής.
