To Εθνικό Θαλάσσιο Κέντρο Περιβαλλοντικών Προβλέψεων (NMEFC) Κίνας, αναβάθμισε την προειδοποίησή του για τα κύματα του ωκεανού που προκλήθηκαν από τον τυφώνα «Meranti» στο «κόκκινο» την Τετάρτη.

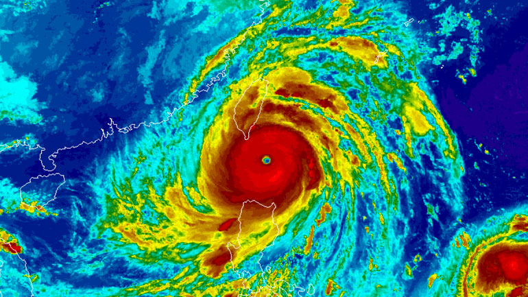
O σούπερ Τυφώνας «Meranti» έχει γίνει ο ισχυρότερος κυκλώνας, στον πλανήτη τη χρονιά που διανύουμε και είναι ένας από τους τρεις πιο ισχυρούς που έχει καταγραφεί ποτέ στα χρονικά.
Η Μετεωρολογική Υπηρεσία της Ιαπωνίας ανακοίνωσε ότι η κεντρική πίεση που ασκείται στο νερό αγγίζει τα 890 millibars.

Αυτό θέτει τη «Meranti» στην πολύ μικρή λίστα με τους βαθύτερους τροπικούς κυκλώνες που έχει καταγραφεί ποτέ οπουδήποτε στη Γη.
Το μάτι της, πέρασε στα νότια της Ταϊβάν νωρίς την Τετάρτη και κατευθύνεται προς την ανατολική Κίνα.
Σύμφωνα με τους μετεωρολόγους και το δελτίο ειδήσεων της τηλεόρασης του ΒΒC τουλάχιστον 200.000 νοικοκυριά έχουν μείνει χωρίς ρεύμα, έχουν κλείσει σχολεία και υπήρξαν ακυρώσεις πτήσεων.

Οι άνεμοι έπληξαν κυρίως την ανατολική ακτή όμως η κινεζική ηπειρωτική χώρα δεν θα είναι τόσο τυχερή.

Η «Meranti» πέρασε από την Ταϊβάν, με συνεχείς ανέμους 290 χιλιομέτρων την ώρα (kph) και ριπές που φτάνουν τις 350kph. Στα ανοικτά της ανατολικής ακτής της Ταϊβάν παρατηρήθηκαν θύελλες και κύματα μέχρι 12 μέτρα ύψος.
Έτσι ο πανίσχυρος τυφώνας πιάνει και τα πέντε σημεία της κλίμακας Saffir-Simpson και καθίσταται ισοδύναμος με την κατηγορία 5.

Η Meranti θα διατηρήσει το μεγαλύτερο μέρος της τρέχουσας δύναμής της, με υψηλές θερμοκρασίες (της θάλασσας (30 ° C)), χαμηλή διάτμηση του ανέμου (αλλαγή της ταχύτητας του ανέμου και της κατεύθυνσης με το ύψος) και υψηλή ατμοσφαιρική υγρασία.
Τα πράγματα θα γίνουν ακόμη πιο επικίνδυνα καθώς με την προσέγγιση σε ξηρά του ματιού, πολύ ισχυροί άνεμοι, θα περάσουν στην ηπειρωτική χώρα της Κίνας στις 21:00 GMT σήμερα.
Από τη δύναμη των ανέμων του τυφώνα θα επηρεαστούν περιοχές, στις οποίες κατοικούν 20 εκατομμύρια άνθρωποι.

Οι ακτογραμμές του Guangdong, του Zhejiang και της Fujian θα εκτεθούν σε σφοδρές βροχοπτώσεις την Τετάρτη και την Πέμπτη.
Σημαντική ποσότητα βροχόπτωσης από 250 έως 500 mm (10 έως 20 ίντσες), θα πέσει τοπικά με τις ποσότητες να φτάνουν έως και τα 750 mm (30 ίντσες) στα βουνά.
«Οι βροχοπτώσεις αυτού του μεγέθους θα οδηγήσουν σε πλημμύρες «flash» και κατολισθήσεις, δήλωσε ο μετεωρολόγος της «AccuWeather» Adam Douty.

