O Σούπερ τυφώνας «Meranti» έγινε μια από τις ισχυρότερες καταιγίδες στο Δυτικό Ειρηνικό και θα χτυπήσει σε λίγο την Ταϊβάν με πλημμύρες και επικίνδυνα κύματα θυέλλης κατά τη διαδρομή του, μετέπειτα, προς την ανατολική Κίνα.

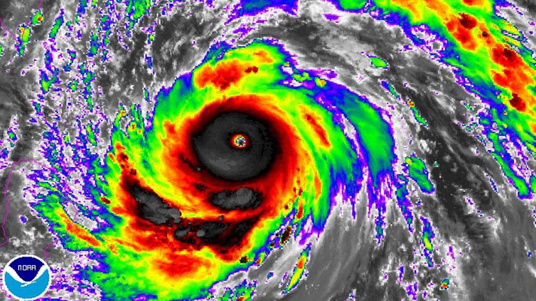
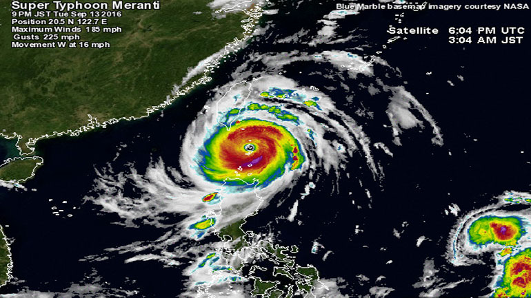
Η «Meranti» κατηγορίας 5, έφτασε σε σούπερ κατάσταση τυφώνα τη Δευτέρα το απόγευμα (ώρα Ελλάδος) με ταχύτητες ανέμου που χτυπάνε τουλάχιστον τα 240 χλμ/ώρα!

Ο γιγαντιαίων διαστάσεων τυφώνας «Meranti» θα ενισχυθεί με ανέμους χτυπήματος 120 κόμβων (138 mph), σε ένα επίπεδο παρόμοιο με αυτόν του τυφώνα Χαϊγιάν.
Η «Haiyan» (Γιολάντα), κινήθηκε μέσω του Δυτικού Ειρηνικού, το Νοέμβριο του 2013 και ήταν μία από τις ισχυρότερες καταιγίδες που έχει καταγραφεί ποτέ για τη λεκάνη, αφήνοντας πίσω του 6000 νεκρούς.
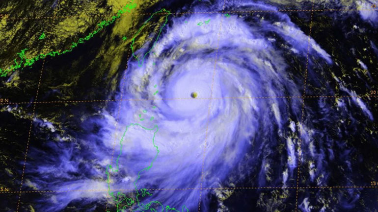
Άνεμοι μεγάλης ισχύος, καταρρακτώδεις βροχές και κατολισθήσεις λάσπης θα απειλήσουν την Ταϊβάν το πρωί της Τετάρτης και την Πέμπτη, καθώς το επίκεντρό του θα διασπαστεί Πέμπτη βράδυ σε δύο κομμάτια, με κατεύθυνση νότιες περιοχές της χώρας.
«Η «Meranti» θα διέρχεται τις επόμενες ώρες από ένα περιβάλλον με χαμηλή διάτμηση του ανέμου και θα μεταφέρει πολύ ζεστό νερό από τους ωκεανούς», δήλωσε στο AccuWeather ο Μετεωρολόγος Adam Douty.

Ο πανίσχυρος τυφώνας, θα προκαλέσει ζημία σε τμήματα της Ταϊβάν, ειδικά στην νοτιοανατολική της ακτή. Κύματα θα αρχίσουν να βομβαρδίζουν την ακτή, την Τρίτη αργά τη νύχτα (τοπική ώρα) και ο τυφώνας θα ισχυροποιηθεί ακόμη περισσότερο (!) την Τετάρτη.
Ένα κύμα θυέλλης από 2 έως 4 μέτρα (7 έως 10 πόδια) αναμένεται έως αύριο τη νύχτα.
Με συνεχείς ανέμους 160 km / h έως και 190 χλμ/ώρα (100 μίλια/ώρα έως 120 mph) το σύστημα θα εισβάλει πιθανώς, στην ξηρά την Τετάρτη, με αποτέλεσμα διακοπές ρεύματος και ξερίζωμα δένδρων.
Σημαντικές ποσότητες βροχόπτωσης 250 έως 500 mm (10 έως 20 ίντσες), θα πέσουν τοπικά και υψηλότερες ποσότητες έως και 750 mm (30 ίντσες) στα βουνά.

«Οι βροχοπτώσεις αυτού του μεγέθους θα οδηγήσουν σε σημαντικές πλημμύρες και κατολισθήσεις», δήλωσε ο Douty.
Ενώ η ανατολική πλευρά του νησιού θα πάρει την ορμή της καταιγίδας, η νοτιοδυτική πλευρά θα αντιμετωπίζει τη δυνατή βροχή και θυελλώδεις ανέμους αργότερα την Τετάρτη, προς ξημερώματα Πέμπτης.

Αυτό θα μπορούσε να είναι μια κακή αρχή για τους εορτασμούς του Φθινοπωρινού Φεστιβάλ (Φεστιβάλ Σελήνη) στη νότια Ταϊβάν, η οποία κανονικά θα ξεκινούσε την Παρασκευή.
Το σύστημα αναμένεται να τραβήξει μακριά από την Ταϊβάν, την Πέμπτη, καθιστώντας την προσέγγιση σε ξηρά στην Κίνα, επικίνδυνη για τους κατοίκους, ειδικά κατά μήκος της νότιας ακτής, στην επαρχία Fujian.

Η «Meranti» πιθανότατα δεν θα είναι το τελευταίο σύστημα που η Κίνα και η Ταϊβάν θα πρέπει να προσέξουν αυτήν την εβδομάδα.
Ένα άλλο τροπικό σύστημα είναι πιθανό να αναπτυχθεί αργά την Παρασκευή, που θα μπορούσε να έχει περαιτέρω δυσμενείς επιπτώσεις στην περιοχή.
Παρακολουθήστε live την ανάπτυξη του τυφώνα

